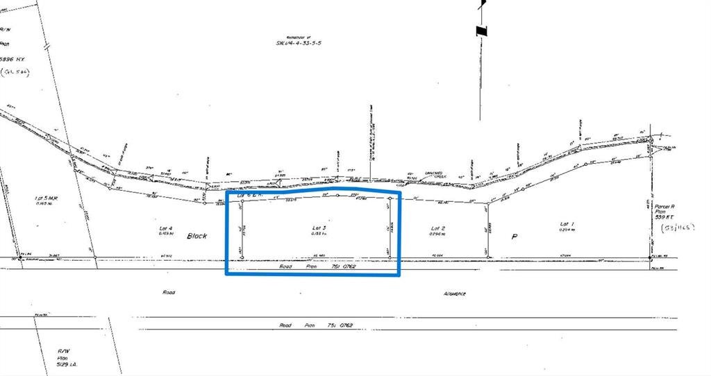
716 Main Avenue W

Industrial Land For Sale in Other, Sundre

$169,900
They say LOCATION! LOCATION! LOCATION! is EVERYTHING when it comes to finding the perfect spot to build your Business! Highway 27 through the Town of Sundre sees approximately 22,000 vehicles, on average, per day! That means 22,000+ potential customers for your Business on 0.42 of an acre! Great Highway access and fantastic highway exposure! You couldn't ask for a better location! And at such an affordable price!
Address
716 Main Avenue W
List Price
$169,900
Property Type
Land
Type of Dwelling
Industrial Land
Transaction Type
Sale
Area
Sundre
Sub-Area
Other
Lot Size
18190 Ac.
MLS® Number
A2160129
Listing Brokerage
CIR Realty
Postal Code
T0M 1X0
Zoning
C2
Site Influences
Fishing, Golf, Schools Nearby, Shopping Nearby, Park, Walking/Bike Paths, Playground, Pool, Street Lights

Request More Info or a Showing

Prestige Commercial Group

Remax Complete Realty

Office: 403-204-9323

Email Directly

#320, 180 Quarry Park Boulevard SE Calgary Alberta T2C 3G3