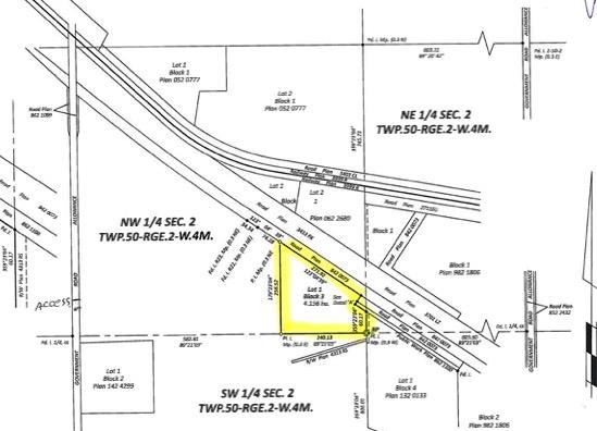
Lot 1 Blk 3 NW 2-50-2-W4

Industrial For Sale in Other, Rural Vermilion River, County of

$475,000
Great Highway 16 exposure 9 kms west of Lloydminster. Your choice of 10, 63 or 73 acres subdivided and ready for your development!
Address
Lot 1 Blk 3 NW 2-50-2-W4
List Price
$475,000
Property Type
Commercial
Type of Dwelling
Industrial
Transaction Type
Sale
Area
Rural Vermilion River, County of
Sub-Area
Other
Lot Size
435600 Ac.
MLS® Number
A2177257
Listing Brokerage
RE/MAX OF LLOYDMINSTER
Postal Code
T0B 0L0
Zoning
AG/COM

Request More Info or a Showing

Prestige Commercial Group

Remax Complete Realty

Office: 403-204-9323

Email Directly

#320, 180 Quarry Park Boulevard SE Calgary Alberta T2C 3G3