1201 19 Street

Commercial Land For Sale in Other, Coaldale

$409,260
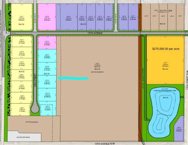
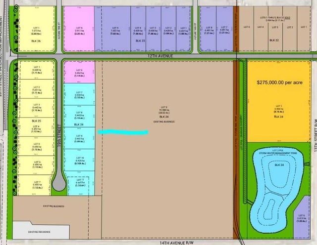
Position your business for success with this 1.14 (+/-) acre Industry -zoned lot, located within Coaldale’s expanding industrial corridor. Situated in the 845 Development Industrial Subdivision, this prime commercial opportunity offers flexible lot sizes ranging from 1 to 8 acres, providing scalable solutions for a variety of commercial and industrial operations. The development features direct access from Highway 845, a highly traveled route in the area that connects to Alberta Highway 3 which is a major transportation passageway for logistics, material transport, and industrial supply chains. This strategic location enhances connectivity and accessibility for businesses requiring efficient transportation solutions. Over the past few years, Coaldale has evolved into a business hub with an impressive growth rate, supported by numerous commercial ventures. One of the most significant developments is the NewCold facility project, which is attracting more industry to the community. Coaldale also benefits from the new Malloy Landing residential subdivision, the state-of-the-art Shift Community Recreation Centre, and a growing number of commercial and industrial enterprises. With cost-effective commercial & industrial land, a competitive commercial property tax rate, and attractive incentives , Coaldale presents a compelling opportunity for business relocation, expansion, and investment. Secure your position in this high-growth market today.
Address
1201 19 Street
List Price
$409,260
Property Type
Land
Type of Dwelling
Commercial Land
Transaction Type
Sale
Area
Coaldale
Sub-Area
Other
Lot Size
49658 Ac.
MLS® Number
A2191975
Listing Brokerage
Onyx Realty Ltd.
Postal Code
T1M0G6
Zoning
I - Industry

Request More Info or a Showing

Prestige Commercial Group

Remax Complete Realty

Office: 403-607-5811

Email Directly

#320, 180 Quarry Park Boulevard SE Calgary Alberta T2C 3G3